• 3호차 28인승 VIP리무진버스
  • 5호차 28인승 전용리무진버스
  • 장가네창고낚시에서 전국바다낚시 / 선상낚시출조버스 문의

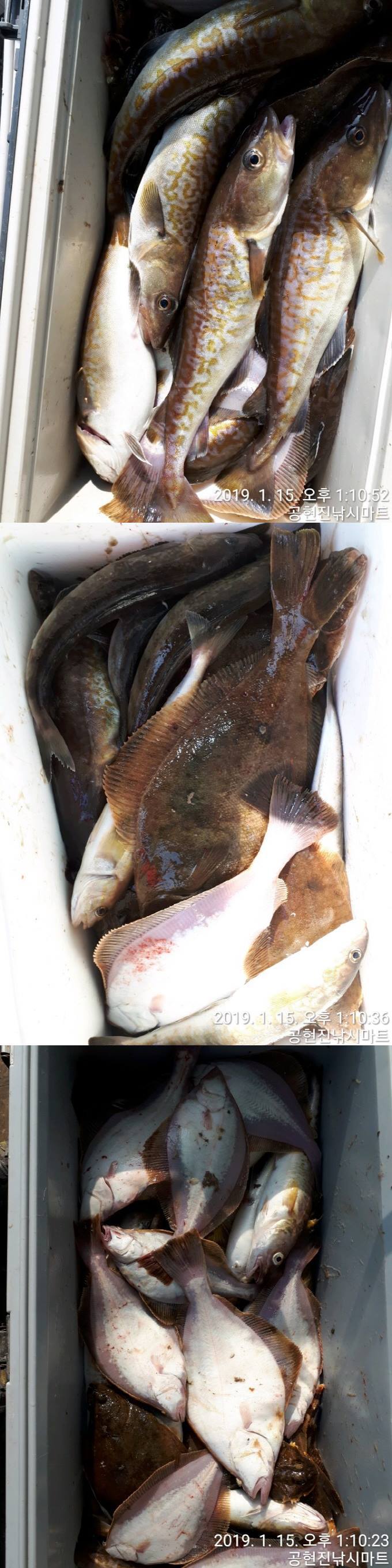
[우럭/열기] 15일(화) 가자미조황입니다











 

captcha
자동등록방지 숫자를 순서대로 입력하세요.

조황정보

공지 " 격포권 알쭈꾸미 " 9일(토)10일(일) 금어기전 단2일간 장가네창고낚시 04-25 126
공지 "태안권 어은돌자연7호 먼바다침선우럭 " 5월8일(금)16일(토)22일(금)29일(금)31일(일) 장가네창고낚시 04-20 167
공지 " 목포 왕도다리 " 5월3일(일)5일(화) 장가네창고낚시 03-21 336
공지 26년 1월 14일 팀보스선단 심해 (왕)갑오징어 조황 장가네창고낚시 03-03 320
공지 2월 25일 공현진 일광호 왕대구 조황 장가네창고낚시 02-25 372
공지 " 공현진 대왕문어(피문어)13만원 이벤트 " 2일(토)3일(일)5일(화)9일(토) 장가네창고낚시 01-21 838
공지 " 공현진왕대구라바/지깅 13만원이벤트 - 2일(토)3일(일)5일(화)9일(토)10일(일) 장가네창고낚시 01-18 718
공지 "고흥권 중내만 돌문어 " 5월2일(토)5일(화)9일(토) 장가네창고낚시 01-09 729
공지 "고흥권 갑오징어 - 5월2일(토)5일(화)9일(토) 장가네창고낚시 01-04 683
공지 4월1일 갑오징어 조뫙 입니다 장가네창고낚시 04-01 1,468
공지 " 고흥 붉바리 외수질" 5월2일(토)5일(화)9일(토) 장가네창고낚시 05-29 1,563