• 3호차 28인승 VIP리무진버스
  • 5호차 28인승 전용리무진버스
  • 장가네창고낚시에서 전국바다낚시 / 선상낚시출조버스 문의

[대구/가자미조황] 25년 7월 20일 격포 남부스타호, 드래곤1호 생미끼 외수질 조황

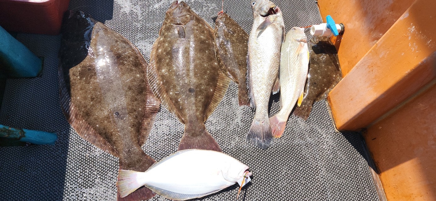
07/20 격포 남부스타호, 드래곤1호 외수질 조황입니다~!!!!

금일 남부스타호, 드래곤1호 생미끼 외수질 조황 알립니다.
오늘 남부스타호는 문어와 외수질 낚시를 병행하였지만,
문어가 보이지 않더라구요. 빠른 판단 하에 조사님들 모시고 외수질 낚시 진행하였습니다.
남부스타호 민어와 광어의 모습 볼 수 있었습니다.
특히나, 광어의 씨알이 아주 좋더군요.
드래곤 1호는 처음부터 민어 위주의 낚시를 진행했습니다.
작은 싸이즈는 아이스박스로 바로 직행하였고,
큰 민어가 나와, 사진으로 남겼습니다.
  • 사용자가 올린 이미지
  • 사용자가 올린 이미지
  • 사용자가 올린 이미지
  • 사용자가 올린 이미지
  • 사용자가 올린 이미지
  • 사용자가 올린 이미지
  • 사용자가 올린 이미지
  • 사용자가 올린 이미지
captcha
자동등록방지 숫자를 순서대로 입력하세요.

조황정보

공지 '격포권 알쭈꾸미 14만원 이벤트 " 3월15일(일)18일(수) 장가네창고낚시 02-28 122
공지 2월 25일 공현진 일광호 왕대구 조황 장가네창고낚시 02-25 62
공지 " 동해(속초/양양권) 피문어 " 7일(토)8일(일)12일(목)14일(토)15일(일) 장가네창고낚시 01-21 418
공지 " 속초왕대구라바/지깅 -7일(토)8일(일)12일(목)14일(토)15일(일)18일(수) 장가네창고낚시 01-18 341
공지 "고흥권 먼바다 돌문어 " 7일(토)11일(수)14일(토)18일(수)21일(토) 장가네창고낚시 01-09 358
공지 "속초대포항 황열기/다잡아낚시" - 7일(토)8일(일)12일(목)14일(토)15일(일)18일(수) 장가네창고낚시 01-07 389
공지 "고흥권 돌돔덜덜이 " 7일(토)11일(수)14일(토)18일(수)21일(토) 장가네창고낚시 01-04 336
공지 " 고흥권 참돔타이라바 " 7일(토)11일(수)14일(토)18일(수)21일(토) 장가네창고낚시 10-01 898
공지 4월1일 갑오징어 조뫙 입니다 장가네창고낚시 04-01 1,187
공지 "고흥심해갑오징어 " 7일(토)11일(수)14일(토)18일(수)21일(토) 장가네창고낚시 01-25 1,165