• 3호차 28인승 VIP리무진버스
  • 5호차 28인승 전용리무진버스
  • 장가네창고낚시에서 전국바다낚시 / 선상낚시출조버스 문의

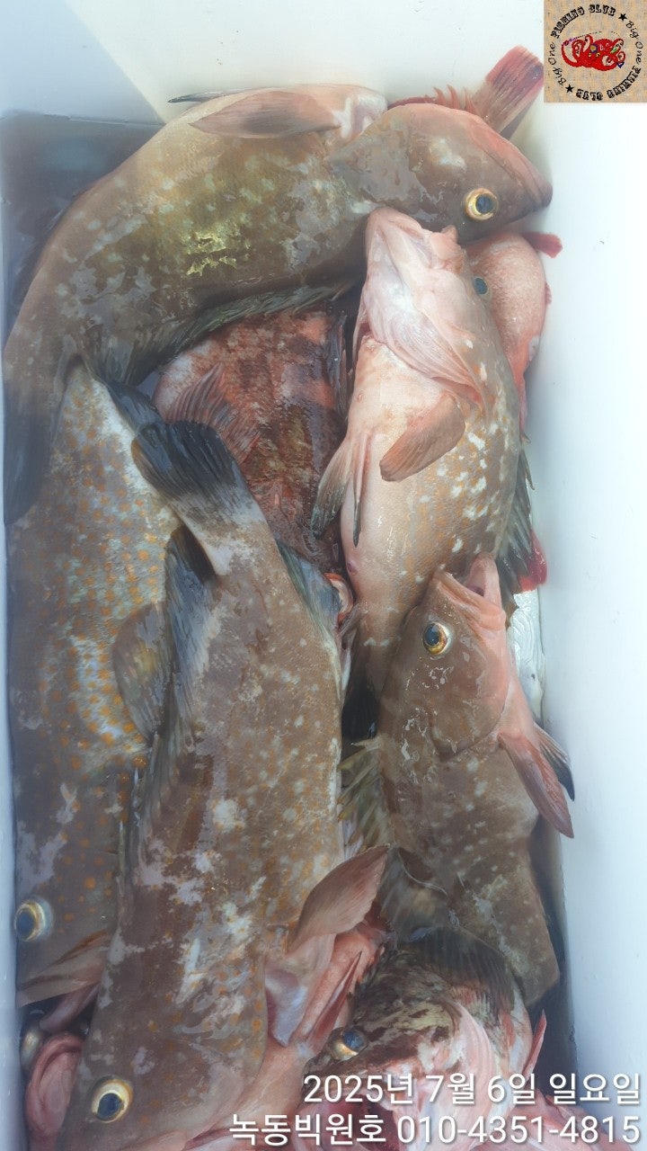
[우럭/열기] 25년 7월 6일 고흥 빅원호 (왕)붉바리 조황

7월6일 17분모시고 붉바리 다녀왔습니다

어제맹키로 따박따박 잘나오네요

최대어는 48cm이고 전원 횟감.구이.탕감 흡족하게 잡으셨습니다

오늘도 즐거운하루 고생들하셨습니다

빅원호 내일 외수질 출항하며 자리여유 있습니다

 
  • 사용자가 올린 이미지
  • 사용자가 올린 이미지
  • 사용자가 올린 이미지
  • 사용자가 올린 이미지
  • 사용자가 올린 이미지
  • 사용자가 올린 이미지
  • 사용자가 올린 이미지
  • 사용자가 올린 이미지
  • 사용자가 올린 이미지
  • 사용자가 올린 이미지
  • 사용자가 올린 이미지
  • 사용자가 올린 이미지
  • 사용자가 올린 이미지
  • 사용자가 올린 이미지
  • 사용자가 올린 이미지
captcha
자동등록방지 숫자를 순서대로 입력하세요.

조황정보

공지 '격포권 알쭈꾸미 14만원 이벤트 " 3월15일(일)18일(수) 장가네창고낚시 02-28 119
공지 2월 25일 공현진 일광호 왕대구 조황 장가네창고낚시 02-25 60
공지 " 동해(속초/양양권) 피문어 " 7일(토)8일(일)12일(목)14일(토)15일(일) 장가네창고낚시 01-21 415
공지 " 속초왕대구라바/지깅 -7일(토)8일(일)12일(목)14일(토)15일(일)18일(수) 장가네창고낚시 01-18 339
공지 "고흥권 먼바다 돌문어 " 7일(토)11일(수)14일(토)18일(수)21일(토) 장가네창고낚시 01-09 356
공지 "속초대포항 황열기/다잡아낚시" - 7일(토)8일(일)12일(목)14일(토)15일(일)18일(수) 장가네창고낚시 01-07 387
공지 "고흥권 돌돔덜덜이 " 7일(토)11일(수)14일(토)18일(수)21일(토) 장가네창고낚시 01-04 334
공지 " 고흥권 참돔타이라바 " 7일(토)11일(수)14일(토)18일(수)21일(토) 장가네창고낚시 10-01 896
공지 4월1일 갑오징어 조뫙 입니다 장가네창고낚시 04-01 1,185
공지 "고흥심해갑오징어 " 7일(토)11일(수)14일(토)18일(수)21일(토) 장가네창고낚시 01-25 1,163